發表在《科學進步》雜誌上的一篇論文顯示,科學家在沙特阿拉伯半島的一處古老湖泊遺址中發現了7個古人類的足印化石。
這7個人的足印距今已經有12萬年的歷史,而這些足印的主人、以及它們要去的地方,揭示了現代人類的起源方式。

並驗證了這麼一個理論,人類的非洲起源假說。說白了,不管今天是生活在歐洲、亞洲、美洲的白人、黃種人、黑人,不管我們之間從外表上看差異有多大,我們都是同一人種,而非人科裡的亞種。
原因就在於雖然各個不同地區的現代人類被萬里重洋隔絕了數萬年,但是等到我們再次相遇的時候,雖然感覺到對方的長相都很怪異,直覺告訴我們:我們是不同的人種。
但是事實證明我們都是一種人,因為我們之間沒有生殖隔離,可以相戀可以生出健康而且非常優秀漂亮的混血寶寶。

從進化學的角度上說,這就說明我們時間上有著非常近的共同祖先,我們的起源方式一樣,只是長久的地域隔離,讓我們彼此遺忘了對方,也進化出了不同的外表。
走出非洲假說,指出了所有現代人的祖先都來自於非洲,它們在大約數十萬年前從非洲開始,向著全球各個地方擴散,入侵;
每到一個地方它們就在那裡紮根定居,適應當地的環境,征服自然,並且以自己更加先進的技術、文化取代了當地的古人種。

逐漸形成了現代人類分佈的格局,它們是智人,它們是我們共同的祖先,我們都是智人的後代。
不過除了非洲單源假說以外,還有多源假說,認為目前各個地區的人,是由當地的土著古人種獨立進化而來的,例如我們亞洲人是由生活在當地的直立人,如四五十萬年的北京猿人進化而來的。
那麼到底哪種是正確的呢?
這次科學家的發現就為人們揭示了12萬年前的非洲智人是如何沿著古河流和湖泊向著歐亞大陸遷移的。

上圖就是這次發現古代智人足跡的地方,位於阿拉伯半島的奈福德沙漠。從地圖上看,這個地方是連接著非洲和歐亞大陸的門戶。
現在的奈福德沙漠,十分乾旱,不適宜生存,任何生物也很難徒步穿越這個地方。
但是在數十萬年前的這個地方可不是今天我們看到的沙漠,而是一個十分潮濕、樹木鬱鬱蔥蔥的地方。
在其中發現的古湖泊、河流遺址就證明了這一點。

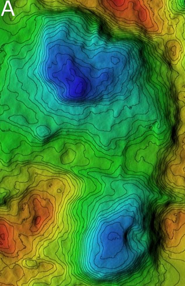
上圖是阿拉塔古湖泊沈積物的遺址邊緣,以及周圍的景觀。科學家在這裡發現了7個古人類的足跡;
還有233塊化石和369條動物足跡,其中包括44只大象和107只駱駝的腳印,這表明這個湖泊曾是一個非常受歡迎的水坑。
包括人類在內的,大部分動物都在遷徙的途中都會在這裡取水。

很明顯的大象和駱駝的腳印。

上圖是古河床底部逐漸被風化侵蝕,顯露出來的動物化石。

上圖就是7個古智人腳印中的一個,那麼你可能想知道的是,科學家是如何知道這個腳印就是智人的,而非能人、傍人或者是尼安德特人的。
畢竟相比於這些人種,智人出現的相對要晚一些。其他人種的遷移也會留下足跡化石。
下面我們簡單的瞭解下人類大致的進化順序,大致是這樣的:

5600萬年前恐龍滅絕以後,過了200到300萬年,最早的靈長類動物祖先就出現了;
類人猿,也就是沒有尾巴的靈長類,直到1500萬年前,才從猴科中分化了出來;
大約700萬年前,大猩猩以及紅毛猩猩獨立進化,和人類以及黑猩猩、倭黑猩猩的祖先分道揚鑣。
大約550萬年前,我們最為親密的兩個表兄弟和人類祖先“地猿”分離,這是我們已知最早的人類祖先。

大約400萬年前,南方古猿從“地猿”進化而來,南方古猿的大腦和黑猩猩、倭黑猩猩容量相當,但是它們的身體特徵、盆骨與現代人類相似。
大約290萬年前,南方古猿阿爾法種出現,這是人類目前發現最早的古人類化石。

大約270萬年前,南方古猿中分化出一隻傍人,它們具有發達的下顎,生活在樹林中。
大約230萬年前,能人首先出現在非洲,它們擁有靈活的手制,能夠製作簡單的石質工具。
大約180萬年前,在化石證據中發現了匠人存在的證據。

大約80萬年前,人類掌握了火的使用,大量食用熟肉,使得人類壽命、大腦容量迅速增長。
大約40萬年前,尼人出現,它們也是首支離開非洲大陸的古人類,並且迅速的遍佈在了歐亞大陸。
直到大約30萬到20萬年前,我們先進人類的祖先智人才出現在非洲。

大約12萬年前,智人才開始向各地遷徙。這個過程非常漫長,直到5萬到4萬年前,智人才到達了歐洲,與當地人類亞種展開競爭。
所以從以上的進化循序上看,智人是最後一支嘗試走出非洲大陸的古人類,所以這些留下非洲與歐亞大陸門戶的古人類腳印完全有可能是其他人類亞種留下的。
不過要想分辯這是誰的腳印,並難不倒科學家。

我們通過對腳印進行數字高程模型(DEM)分析,就能得出來猜出這個腳印人的體重、身高、以及步態,通過以往化石我們對其他古人類的瞭解,就能分辨出這個腳印是誰的。
結論正是指向了智人。這次的發現說明了,智人遷徙的路線,以及大致的時間。

上圖就顯示了智人從非洲開始向全球擴散,以及到達這些地方的時間。
這段時間也成為了人類進化最關鍵的時期,這也解釋了為何目前在地球上只保留了一個人種,而其他的人類亞種為什麼都滅絕了。
其中的原因包括,其他的人類亞種有些因為不適應環境、或者因為一些自然災害而滅絕,但是最大的原因還是智人的入侵,與當地人種競爭,佔據生存空間,導致了它們的滅絕。
例如我們最為熟悉的尼人,它們在智人達到歐洲、亞洲的時候已經在那裡生活的數十萬年,但是智人的出現,是它們滅絕的最大因素。

在這期間智人還和尼人發生過雜交,從我們現代人類的基因中,我們發現了尼人的基因組成。而目前非洲當地的人中卻沒有這種基因。
這次的發現還表明了,阿拉伯半島北部對人類史前研究的重要性。其他動物化石的發現也說明,這個地方曾經非常肥沃,吸引了大量的生物往這邊遷徙,這也是智人走上這條路,最後進入歐亞大陸最為關鍵的地方。
除了這次發現的足跡證據,表明了智人的遷徙路線和時間以外,我們通過對全球各個地區的人的基因進行測定。

發現我們都有共同的起源,例如全球男性身體裡的Y染色體,這個基因是在男性身上一脈單傳的,追蹤Y染色體的來源,我們就能發現人類男性的最近祖先生活在非洲,距離今天大約有10萬年。
線粒體基因只會遺傳母親的,所以追蹤線粒體基因的來源,我們發現了人類最近的母系祖先,生活在距今天大約20萬年的一位非洲女性。
因此從各種證據上來看,目前關於人類的起源都指向了非洲單源說。我們都來自於非洲!









